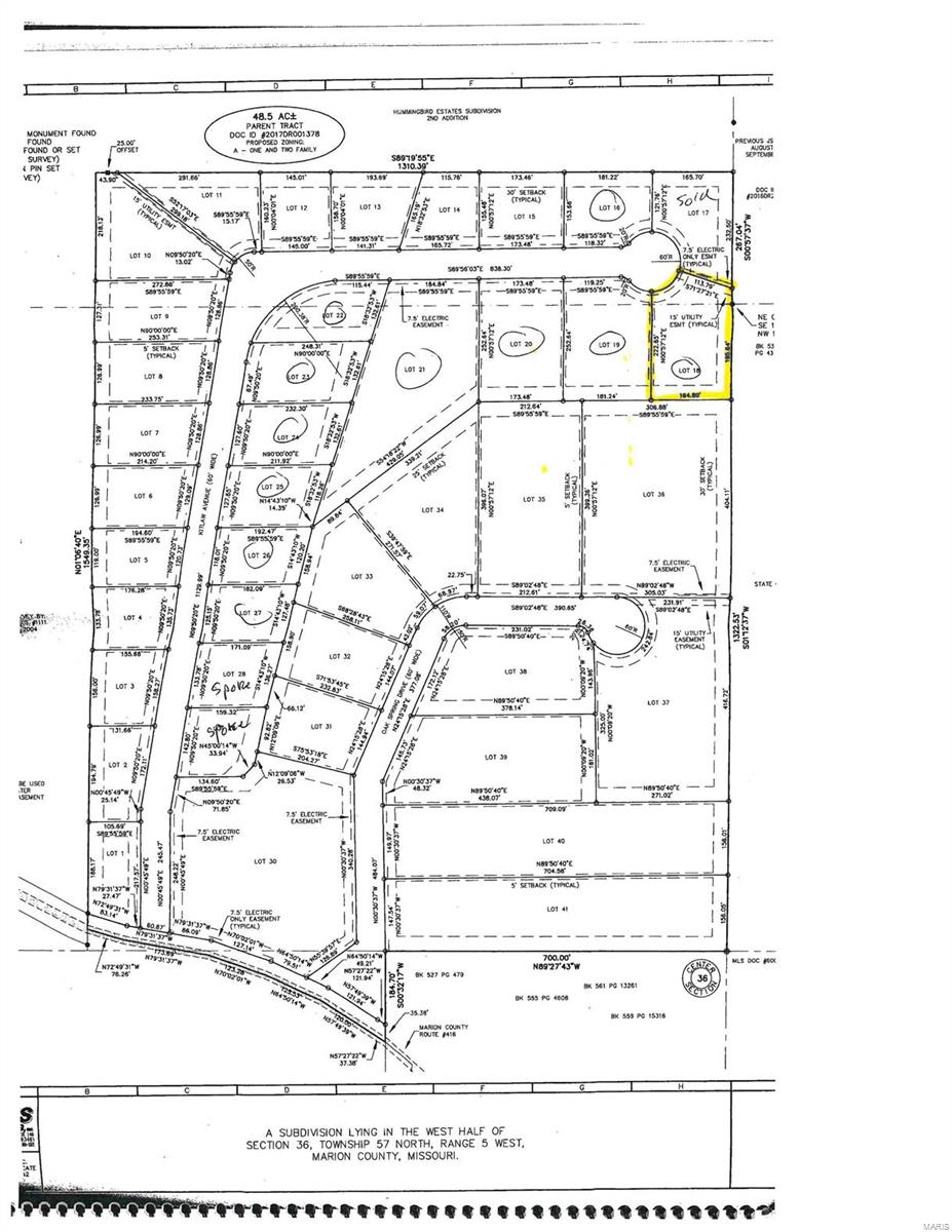
18 Kitlaw, Hannibal, MO, US, 63401
18 Kitlaw, Hannibal, MO, US, 63401Basics
- Date added: Added 9 months ago
- Status: Active
- Bedrooms: 0
- Bathrooms: 0
- Half baths: 0
- Lot size: 32234 sq ft
- Subdivision Name: Oak Spring
- List Office Name: Prestige Realty, Inc
- Days On Market: 728
- MLS ID: MIS23048074
Description
-
Description:
Your chance to be out in the country but within the city limits. Subdivision is tree lined, with lots suitable for walk-out and in ground basements and slabs. All sites have city sewer, city water, all utilities are located underground and city maintained, natural gas, high speed cable and internet, all streets are paved with curbs and gutters, all city emergency services available. Ready for your plans and builder. Drive out today and see what's going on at OAK SPRING DEVELOPMENT. The seller owns the lot next door (Lot 19), lets make this a package deal. Tax ID to be assigned Additional Rooms: In Platted Subdv.
Show all description
Location
- County: Marion
- Directions: Subdivision is located between Veterans Rd and HWY 61. Off of Westover Rd.
Building Details
- ParkingTotal: 0
- New Construction?: No
Amenities & Features
- Waterfront Access?: No
- Garage?: No
- Attached Garage?: No
- Fireplace?: No
- Private Pool?: No
- Community Features: Curbs, Sewer Gutters, Storm Sewer, Street Lights
- Utilities: Electricity Available, Natural Gas Available, Phone Available, Underground Utilities
Nearby Schools
- Elementary School: Oakwood Elem.
- Middle School: Hannibal Middle
- High School: Hannibal Sr. High
- High School District: Hannibal 60